ioaffitto.it TROVA casa. VIVI SEMPLICE.
Inserzionista
Codice annuncio: 264801002729
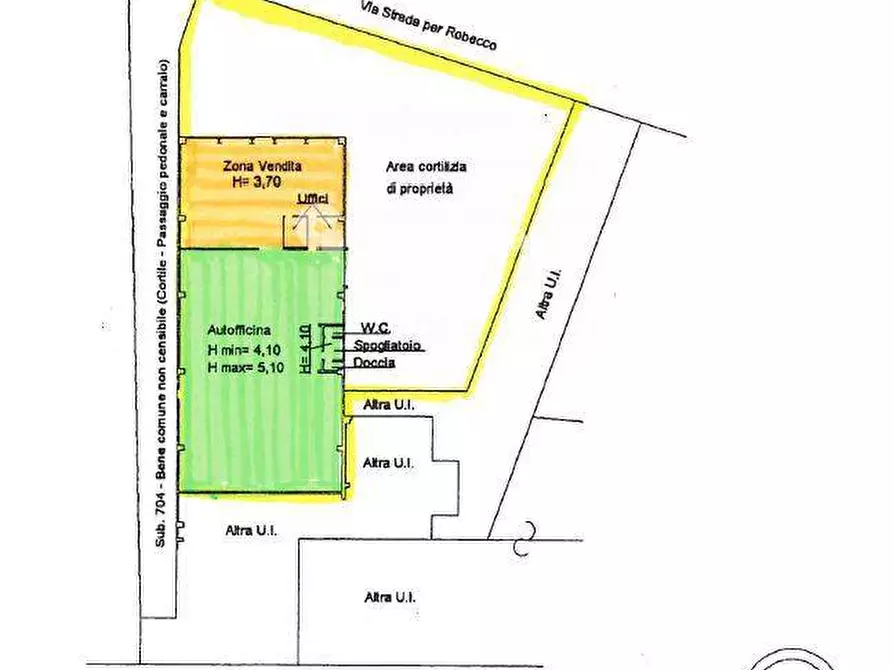
Riferimento immobile: Capannone Commerciale/Artigianale Strada per Robecco 8, Magenta
Scopri subito quanto vale la tua casa per l'affitto o per la vendita!
Annunci immobiliari nella stessa zona