ioaffitto.it TROVA casa. VIVI SEMPLICE.
Logo
Nuovo
1/3
Immagine 1 di Garage in vendita  in Via Aldo Piatti 30 a Piossasco
2/3
Immagine 2 di Garage in vendita  in Via Aldo Piatti 30 a Piossasco
3/3
Immagine 3 di Garage in vendita  in Via Aldo Piatti 30 a Piossasco
Icona foto3 Foto     Icona planimetrie 0 planimetria

Garage in vendita in Via Aldo Piatti 30 a Piossasco

€ 11.000,00
prezzo di vendita
-
locali
-
bagni
17
mq
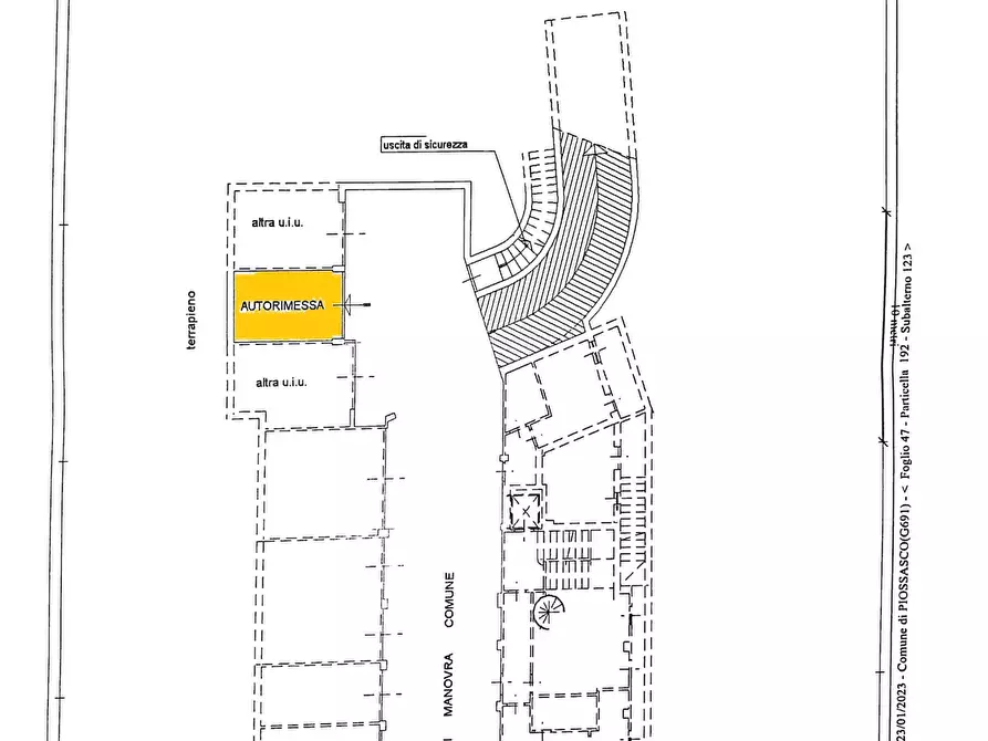
Box auto singolo in Piossasco via Piatti angolo via Pinerolo in stabile recente. Il box rimane al piano interrato con apertura a basculante. Cancello elettrico per accesso alla rampa di discesa/salita Box comodo per un posto auto. Libero subito.
RIFERIMENTO ANNUNCIO
972
DATA ANNUNCIO
20 gennaio 2026
DATA ULTIMO AGGIORNAMENTO
20 gennaio 2026
CONTRATTO
Vendita
TIPOLOGIA
Garage
SUPERFICIE
17 m²
TIPO PROPRIETA'
Standard
ALTRE CARATTERISTICHE'
barriere architettoniche
Costi
€ 11.000,00
prezzo di vendita
Mappa della zona dell'immobile

Calcola il mutuo

Inserisci i dati mutuo

Rata del mutuo
Al mese
Anticipo
Mutuo
Richiedi consulenza gratuita mutuo

Servizio erogato tramite  

Servizi per te
Inserzionista
Abitare 5 di Fabio Giusto
Fabio Giusto

Codice annuncio: 1052707
Riferimento immobile: 972

Invia email
ATTENZIONE ALLE TRUFFE
 
NON ANTICIPARE MAI denaro su carte ricaricabili, conti correnti esteri, money transfer o altri sistemi di pagamento

Scopri subito quanto vale la tua casa per l'affitto o per la vendita!

   

Altri annunci simili