Appartamento in vendita in Via Marco Volpe, 8 a Spilimbergo
€ 30.000,00
prezzo di vendita
Rif. A.A.76-23
Vendita all'asta - appartamento al 2° piano in data 8 gennaio 2026
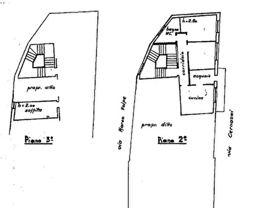
Descrizione: trattasi di un appartamento sito al secondo piano e di una soffitta posta al terzo piano facente parte di fabbricato ubicato in Via Marco Volpe nel Comune di Spilimbergo, ovvero nel centro storico del Comune. L’appartamento, della superficie commerciale complessiva di mq.82, è costituito da un corridoio d’ingresso che comunica con tutti i vani, quali una cucina, un soggiorno, una camera da letto e n. 2 bagni ed infine vi è un terrazzo.
Il lotto viene venduto tramite asta giudiziaria, ed il prezzo indicato si riferisce al prezzo minimo accettato per la partecipazione all’asta .
Aste-Affari fornisce un servizio di assistenza e consulenza tecnica , legale, fiscale e finanziaria su acquisti all’asta e affari immobiliari , al fine di rendere più facile e sicuro l'acquisto di un immobile proveniente dal mercato giudiziario oppure da occasioni presenti sul mercato immobiliare .
Analisi di fattibilità , tecnica, burocratica, finanziaria , legale , esame problematiche e vincoli , conteggio costi accessori ed occulti, assistenza in tutte le fasi della procedura fino alla consegna delle chiavi dell’immobile .
L'acquisto può essere finanziato tramite mutuo , e , ove possibile , anche in pre-asta tramite procedura di saldo-stralcio .
Soluzioni personalizzate per i debitori .
Prezzo minimo base asta : euro 30.000,00
Per info aggiuntive , prenotazione visione, consulenza ed assistenza
Studio di Consulenza : “aste-affari.com”
Info : 042217801118 – 04221780185
www.aste-affari.com --- annuncio pubblicato con GESTIONALEIMMOBILIARE.it