ioaffitto.it TROVA casa. VIVI SEMPLICE.
Nuova ricerca
Pubblica annuncio
Annunci sponsorizzati
Agenzie
Valutazione-immobile
Servizi
Luce Gas Fibra
Mutui
Finanziamenti
Ricerca Internazionale
Servizi web
Servizio partecipazione asta
Pubblica annuncio
Accedi
Nuovo
1/5
2/5
3/5
4/5
5/5
5
Foto
0
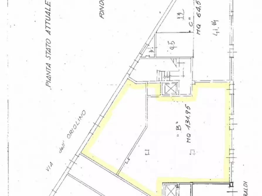
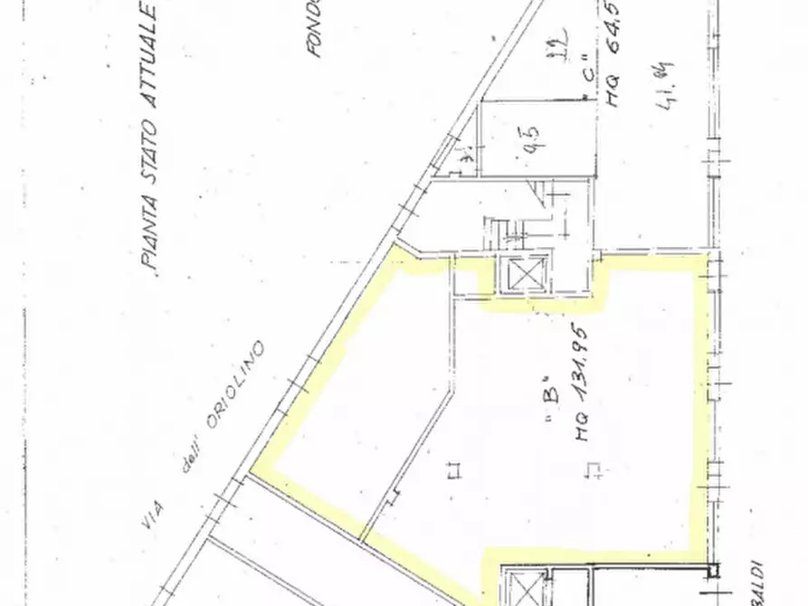
planimetria
Attività commerciale in affitto in Via Giuseppe Garibaldi 124 a Livorno
€ 1.500,00
al mese
-
locali
1
bagni
150
mq
PER QUESTO ANNUNCIO CONTATTARE IL 388 4371046.
DISPONIBILE DA NOVEMBRE 2025.
In zona centrale e ad alto passaggio pedonale e veicolare, proponiamo in affitto un fondo commerciale di categoria C1, situato in prossimità di Piazza della Repubblica, una delle aree più dinamiche e servite della città.
L'immobile si sviluppa su una superficie ben distribuita, suddivisa in due ambienti: una zona commerciale frontale con tre ampie vetrine su strada, ideale per garantire massima visibilità, e una parte retrostante ad uso magazzino o deposito. Completano la proprietà un bagno, saracinesche a protezione degli accessi e tre tende da sole. Il fondo è da ristrutturare, offrendo così la possibilità di personalizzare gli spazi secondo le proprie esigenze. Grazie alla posizione strategica e alla versatilità degli ambienti, si presta perfettamente a diverse tipologie di attività commerciali, come negozi, showroom, studi professionali, piccole ristorazioni (previa verifica urbanistica) e altro ancora. --- annuncio pubblicato con GESTIONALEIMMOBILIARE.it
RIFERIMENTO ANNUNCIO
gestimm-4642633
DATA ANNUNCIO
13 febbraio 2026
DATA ULTIMO AGGIORNAMENTO
13 febbraio 2026
CONTRATTO
Affitto
TIPOLOGIA
Attività commerciale
SUPERFICIE
150 m²
PIANO
Non disponibile
TIPO PROPRIETA'
Standard
ALTRE CARATTERISTICHE'
soffitta / mansarda
cantina
garage
cucina presente
cucina abitabile
taverna
Costi
€ 1.500,00
al mese
Classe energetica
IN CORSO DI VALUTAZIONE
a+
a
b
c
d
e
f
g
Mappa della zona dell'immobile
Ingrandisci mappa
Segnala un problema
Servizi per te
Inserzionista
Studio Immobiliare Mei s.r.l.
Simone Nicolini
Vai al sito web
Codice annuncio:
4642633
Mostra numero
Tel: 0586219223
Invia email
Motivo contatto
Appuntamento
Più informazioni
Richiesta di contatto
Più foto e materiali
Nome e cognome*
Email*
Cellulare
Messaggio*
ATTENZIONE ALLE TRUFFE
NON ANTICIPARE MAI denaro su carte ricaricabili, conti correnti esteri, money transfer o altri sistemi di pagamento
Accettazione*
Ho letto, sono maggiorenne e accetto
condizioni
,
privacy
e
Consigli antitruffa
Invia
Chiama
Contatta
Visita
Richiedi visita
Scopri subito quanto vale la tua casa per l'affitto o per la vendita!
Valuta gratis
Altri annunci simili
a
a
a
a
a
a
Annunci immobiliari nella stessa zona
Comune di Livorno:
Affitto Attività/immobili commerciali Livorno
|
Affitto Attività commerciali Livorno
|
Agenzie immobiliari Livorno
|
Provincia di Livorno:
Affitto Attività/immobili commerciali Livorno
|
Affitto Attività commerciali Livorno
|
Agenzie immobiliari Livorno
|
Email
Password
Ricordami
Registrati adesso
Sei una agenzia?
Password dimenticata?