ioaffitto.it TROVA casa. VIVI SEMPLICE.
Logo
Nuovo
1/4
Immagine 1 di Appartamento in vendita  in Via Antonio Canova, 11 a Carbonera
2/4
Immagine 2 di Appartamento in vendita  in Via Antonio Canova, 11 a Carbonera
3/4
Immagine 3 di Appartamento in vendita  in Via Antonio Canova, 11 a Carbonera
4/4
Immagine 4 di Appartamento in vendita  in Via Antonio Canova, 11 a Carbonera
Icona foto4 Foto     Icona planimetrie 0 planimetria

Appartamento in vendita in Via Antonio Canova, 11 a Carbonera

€ 108.750,00
prezzo di vendita
4
locali
1
bagni
146
mq
RIF. A.A.307-24

Vendesi all'asta - appartamento al piano terra rialzato in data 14 aprile 2026

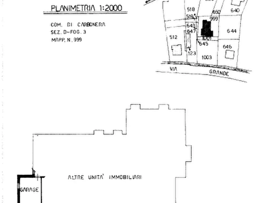
Descrizione: trattasi di un appartamento ubicato al piano terra rialzato di un fabbricato condominiale articolato su tre piani fuori terra e un piano interrato, con annesso locale magazzino al piano interrato, sito nel comune di Carbonera (TV). L’unità abitativa, accessibile dal pianerottolo rialzato del piano terra, è composta da un soggiorno e da un locale cucina entrambi serviti da una terrazza, oltre ad un disimpegno da cui si accede a tre camere, di cui due servite da rispettive terrazze, ed un bagno. Il locale magazzino, invece, è posto al piano interrato. Superficie commerciale complessiva mq.146.

Prezzo minimo: 108.750 euro

Aste-Affari fornisce un servizio di assistenza e consulenza tecnica, legale, fiscale e finanziaria su acquisti all’asta e affari immobiliari, al fine di rendere più facile e sicuro l'acquisto di un immobile proveniente dal mercato giudiziario oppure da occasioni presenti sul mercato immobiliare.
Analisi di fattibilità, tecnica, burocratica, finanziaria, legale, esame problematiche e vincoli, conteggio costi accessori ed occulti, assistenza in tutte le fasi della procedura fino alla consegna delle chiavi dell’immobile.
L'acquisto può essere finanziato tramite mutuo, e, ove possibile anche in pre-asta tramite procedura di saldo-stralcio.
Per info aggiuntive, prenotazione visione, consulenza ed assistenza su asta :

Studio di Consulenza : "aste-affari.com"

Info: 04221780185 – 042217801118

www.aste-affari.com

Sei un debitore ? Chiamaci ! Abbiamo soluzioni personalizzate anche per te. --- annuncio pubblicato con GESTIONALEIMMOBILIARE.it
RIFERIMENTO ANNUNCIO
gestimm-4859116
DATA ANNUNCIO
23 febbraio 2026
DATA ULTIMO AGGIORNAMENTO
23 febbraio 2026
CONTRATTO
Vendita
TIPOLOGIA
Appartamento
SUPERFICIE
146 m²
locali
4
PIANO
Non disponibile
TOTALE PIANI EDIFICIO
3
TIPO PROPRIETA'
Standard
ALTRE CARATTERISTICHE'
aria condizionata soffitta / mansarda sottoposto ad asta cantina impianto elettrico da verificare arredata garage giardino comunale riscaldamento autonomo cucina presente cucina abitabile ascensore stato di manutenzione discreto rete locale in fibra ottica taverna
Costi
€ 108.750,00
prezzo di vendita
Anno di costruzione
1984
Classe energetica E
a+ a b c d e f g
Mappa della zona dell'immobile

Calcola il mutuo

Inserisci i dati mutuo

Rata del mutuo
Al mese
Anticipo
Mutuo
Richiedi consulenza gratuita mutuo

Servizio erogato tramite  

Servizi per te
Inserzionista
Logo asteaffari.com
asteaffari.com
Stefano Dalto

Codice annuncio: 4859116

Invia email
ATTENZIONE ALLE TRUFFE
 
NON ANTICIPARE MAI denaro su carte ricaricabili, conti correnti esteri, money transfer o altri sistemi di pagamento

Scopri subito quanto vale la tua casa per l'affitto o per la vendita!

   

Altri annunci simili