ioaffitto.it TROVA casa. VIVI SEMPLICE.
Logo
1/3
Immagine 1 di Locale commerciale in vendita  a Arcene
2/3
Immagine 2 di Locale commerciale in vendita  a Arcene
3/3
Immagine 3 di Locale commerciale in vendita  a Arcene
Icona foto3 Foto     Icona planimetrie 1 planimetria

Locale commerciale in vendita a Arcene

€ 2.300.000,00
prezzo di vendita
-
locali
-
bagni
23000
mq
-- CISERANO

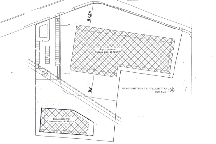
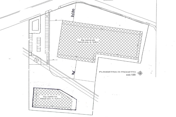
Area edificabile a destinazione industriale, commerciale e socio assistenziale di mq 23.000 situata in posizione di grande comodità logistica, a pochi passi dal futuro casello di Verdello della bretella Autostradale.

L'area ha potenzialità edificatoria per mq 9.300 con altezza massima di metri 12, è dotata di 2 ingressi e 2 uscite ed è concessa la costruzione di edificio industriale / commerciale o anche di struttura Rsa.

E' possibile la vendita dell'area edificabile per € 100 / mq da lottizzare oppure per € 126 / mq già lottizzata. Scomputo oneri per € 500.000,00, opere già eseguite € 330.000,00.

E' inoltre possibile la vendita della struttura finita per € 800 / mq.

E' inoltre possibile l'acquisto dell'area frazionata in 2 lotti:
Lotto 1 _ Mq 14.000 con superficie costruibile pari a mq 7.300 ed altezza interna di 12 metri.
Lotto 2 _ Mq 6.200 con superficie costruibile pari a mq 4.200 ed altezza interna di 12 metri.

CLASSE ENERGETICA: Immobile non soggetto all'obbligo di certificazione energetica

Vai all'annuncio: https://www.studio-valle.com/it/ciserano-3/


STUDIO IMMOBILIARE VALLE
Flaminia S.r.l.
Real estate and investments
24121 Bergamo - Italy
V.le Vitt. Emanuele II n. 65
tel +39 035 231588
fax +39 035 232714
www.studio-valle.com
info@studio-valle.com
Facebook: StudioImmobiliareValle
Twitter: ValleRealEstate
Skype: Valle-Real-Estate
RIFERIMENTO ANNUNCIO
CISERANO23000B
DATA ANNUNCIO
23 febbraio 2024
DATA ULTIMO AGGIORNAMENTO
23 febbraio 2024
CONTRATTO
Vendita
TIPOLOGIA
Locale commerciale
SUPERFICIE
23000 m²
TIPO PROPRIETA'
Standard
ALTRE CARATTERISTICHE'
riscaldamento assente
Costi
€ 2.300.000,00
prezzo di vendita
Mappa della zona dell'immobile

Calcola il mutuo

Inserisci i dati mutuo

Rata del mutuo
Al mese
Anticipo
Mutuo
Richiedi consulenza gratuita mutuo

Servizio erogato tramite  

Servizi per te
Inserzionista
Logo Studio Immobiliare Valle
Studio Immobiliare Valle

Codice annuncio: 7486
Riferimento immobile: CISERANO23000B

Invia email
ATTENZIONE ALLE TRUFFE
 
NON ANTICIPARE MAI denaro su carte ricaricabili, conti correnti esteri, money transfer o altri sistemi di pagamento

Scopri subito quanto vale la tua casa per l'affitto o per la vendita!

   

Altri annunci simili