ioaffitto.it TROVA casa. VIVI SEMPLICE.
Nuova ricerca
Pubblica annuncio
Annunci sponsorizzati
Agenzie
Valutazione-immobile
Servizi
Luce Gas Fibra
Mutui
Finanziamenti
Ricerca Internazionale
Servizi web
Servizio partecipazione asta
Pubblica annuncio
Accedi
In affitto
/
Locale commerciale
/
Livorno (LI)
131 di 75
1/9
2/9
3/9
4/9
5/9
6/9
7/9
8/9
9/9
9
Foto
0
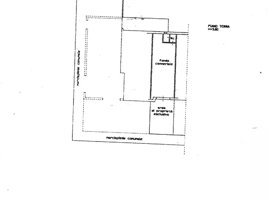
planimetria
Locale commerciale in affitto a Livorno
€ 600,00
al mese
1
locali
1
bagni
40
mq
Vicinanze questura viale Boccaccio fondo commerciale di circa 40 metri quadrati, corredato di 1 vetrina luce appena ristrutturato al piano terra.L’immobile è costituito da un unico e ampio vano open space di circa 40 metri quadrati utilizzabile come area vendita.L’immobile è corredato di un piccolo servizio corredato di antibagno e finestra.Pavimenti nuovi in marmo rosa.L'immobile verrà dotato di spazio esterno esclusivo di circa 20 metri quadrati esclusivi e recintati.Immobile ideale per tutte quelle attività commerciali che richiedono grande visibilità data la sua posizione inserita in area di molte attività commerciali.Possibilità di aumentare gli spazi esterni di ulteriori 45 metri quadrati annettendo un altro fondo adiacente.Disponibile da subito con contratto di tipo uso diverso dall' abitativo per la durata di sei anni più sei per il quale sono richiesti euro 600 mensili oneri accessori inclusi. In caso di annessione di altro fondo il canone mensile da concordare.Contratto soggetto alla presenza di garante.
RIFERIMENTO ANNUNCIO
F3789
DATA ANNUNCIO
21 maggio 2021
DATA ULTIMO AGGIORNAMENTO
14 giugno 2023
CONTRATTO
Affitto
TIPOLOGIA
Locale commerciale
SUPERFICIE
40 m²
locali
1
PIANO
rialzato
TIPO PROPRIETA'
Standard
ALTRE CARATTERISTICHE'
predisposizione per impianto aria condizionata
predisposizione al sistema di allarme
barriere architettoniche
doppio vetro
Costi
€ 600,00
al mese
Stato
nuovo
Classe energetica
G
a+
a
b
c
d
e
f
g
Mappa della zona dell'immobile
Ingrandisci mappa
Segnala un problema
Servizi per te
Inserzionista
SoloAffitti - Livorno 1
Ricciotti Sara
Vai al sito web
Codice annuncio:
542898
Riferimento immobile:
F3789
Mostra numero
Tel: 0586861173
Invia email
Motivo contatto
Appuntamento
Più informazioni
Richiesta di contatto
Più foto e materiali
Nome e cognome*
Email*
Cellulare
Messaggio*
ATTENZIONE ALLE TRUFFE
NON ANTICIPARE MAI denaro su carte ricaricabili, conti correnti esteri, money transfer o altri sistemi di pagamento
Accettazione*
Ho letto, sono maggiorenne e accetto
condizioni
,
privacy
e
Consigli antitruffa
Invia
Chiama
Contatta
Visita
Richiedi visita
Scopri subito quanto vale la tua casa per l'affitto o per la vendita!
Valuta gratis
Altri annunci simili
Locale commerciale in affitto in Corso Amedeo 100 a Livorno
NOSTRA ESCLUSIVA: Centralissimo fondo commerciale di circa 65 metri quadrati dotato di due vetrin...
€ 700
2
locali
65 ㎡
superficie
Locale commerciale in affitto in Corso Amedeo 208 a Livorno
Fondo Commerciale in Affitto – Zona Semicentrale, Ottima Visibilità e PassaggioProponiamo in affi...
€ 400
2
locali
40 ㎡
superficie
1
bagni
Locale commerciale in affitto a Livorno
Rif. 1764 AFFITTASI FONDO COMMERCIALE, posizionato in zona centrale, di circa mq 45, composto d...
€ 600
3
locali
45 ㎡
superficie
Locale commerciale in affitto a Livorno
Livorno - Centro Affittasi locale commerciale/fondo di 37 mq in buono stato, situato al piano ter...
€ 400
1
locali
37 ㎡
superficie
Locale commerciale in affitto a Livorno
ZONA MAGENTA : proponiamo FONDO COMMERCIALE di mq 35 CON ACCESSO DIRETTO DA VIA MAGENTA eE VETR...
€ 600
1
locali
35 ㎡
superficie
Locale commerciale in affitto a Livorno
Ardenza - Livorno Affittasi fondo commerciale di circa 40 mq situato a Livorno, in ottima posizio...
€ 540
1
locali
43 ㎡
superficie
Annunci immobiliari nella stessa zona
Comune di Livorno:
Affitto Attività/immobili commerciali Livorno
|
Affitto Locali commerciali Livorno
|
Agenzie immobiliari Livorno
|
Provincia di Livorno:
Affitto Attività/immobili commerciali Livorno
|
Affitto Locali commerciali Livorno
|
Agenzie immobiliari Livorno
|
Email
Password
Ricordami
Registrati adesso
Sei una agenzia?
Password dimenticata?