ioaffitto.it TROVA casa. VIVI SEMPLICE.
Logo
1/3
Immagine 1 di Terreno edificabile in vendita  in via Sabotino a Pinerolo
2/3
Immagine 2 di Terreno edificabile in vendita  in via Sabotino a Pinerolo
3/3
Immagine 3 di Terreno edificabile in vendita  in via Sabotino a Pinerolo
Icona foto3 Foto     Icona planimetrie 0 planimetria

Terreno edificabile in vendita in via Sabotino a Pinerolo

€ 190.000,00
prezzo di vendita
1
locali
-
bagni
2420
mq
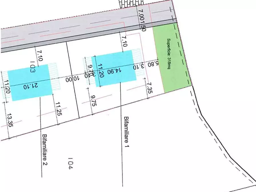
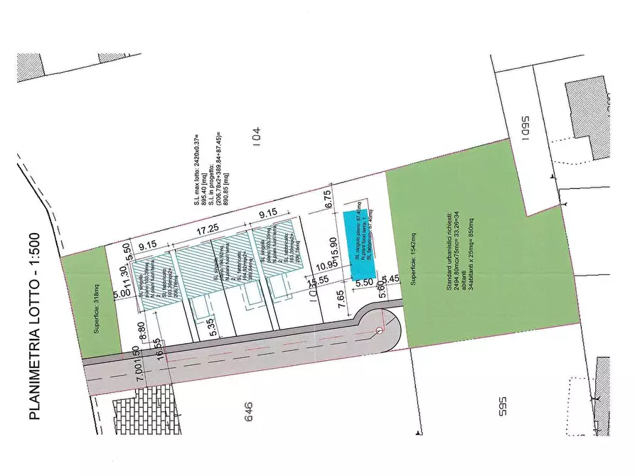
Si propone in vendita un terreno edificabile di 2.420 mq situato nel comune di Pinerolo, in via Sabotino, in una zona residenziale con vista aperta. La proprietà gode di una posizione strategica, essendo comoda ai servizi quali reti autostradali, ospedali e servizi in generale.
Il prezzo di vendita è di 190.000 EUR, rendendo questa un'ottima opportunità di investimento nel settore immobiliare.
Il terreno edificabile ha la possibilità di sviluppare progetti abitativi già abozzati con elevata efficienza energetica. Il lotto offre la possibilità di realizzare soluzioni abitative quali ville bifamiliari oppure una palazzina plurifamiliare per una superficie complessiva di 895,40 mq su un lotto di 2.420 mq.
La sua posizione in una zona residenziale tranquilla e ben servita, unita al prezzo competitivo e alle dimensioni generose del lotto, lo rendono un'opportunità da non perdere per chiunque sia interessato a investire nel mercato immobiliare di Pinerolo.
Contattateci per ulteriori informazioni e per pianificare una visita sul posto.
CLASSE ENERGETICA: Non Applicabile
RIFERIMENTO ANNUNCIO
V001786
DATA ANNUNCIO
21 novembre 2025
DATA ULTIMO AGGIORNAMENTO
14 marzo 2026
CONTRATTO
Vendita
TIPOLOGIA
Terreno edificabile
SUPERFICIE
2420 m²
locali
1
TOTALE PIANI EDIFICIO
2
TIPO PROPRIETA'
Standard
ALTRE CARATTERISTICHE'
Costi
€ 190.000,00
prezzo di vendita
Classe energetica NA
a+ a b c d e f g
Mappa della zona dell'immobile

Calcola il mutuo

Inserisci i dati mutuo

Rata del mutuo
Al mese
Anticipo
Mutuo
Richiedi consulenza gratuita mutuo

Servizio erogato tramite  

Servizi per te
Inserzionista
Logo GR L'IMMOBILIARE snc
GR L'IMMOBILIARE snc

Codice annuncio: 5253
Riferimento immobile: V001786

Invia email
ATTENZIONE ALLE TRUFFE
 
NON ANTICIPARE MAI denaro su carte ricaricabili, conti correnti esteri, money transfer o altri sistemi di pagamento

Scopri subito quanto vale la tua casa per l'affitto o per la vendita!

   

Altri annunci simili

Terreno edificabile in vendita in Via Trieste 36 a Montanaro
Terreno a Montanaro (TO) di quasi 3.000 mq con indice di edificabilità per circa 900 mq. Poten...
€ 180.000
1
locali
3000 ㎡
superficie
Annunci immobiliari nella stessa zona
Comune di Pinerolo:
Agenzie immobiliari Pinerolo |
Provincia di Torino:
Agenzie immobiliari Torino |