ioaffitto.it TROVA casa. VIVI SEMPLICE.
Logo
1/3
Immagine 1 di Terreno residenziale in vendita  a Almenno San Bartolomeo
2/3
Immagine 2 di Terreno residenziale in vendita  a Almenno San Bartolomeo
3/3
Immagine 3 di Terreno residenziale in vendita  a Almenno San Bartolomeo
Icona foto3 Foto     Icona planimetrie 1 planimetria

Terreno residenziale in vendita a Almenno San Bartolomeo

---
Prezzo riservato
-
locali
-
bagni
20000
mq
- MAPELLO ZONA CENTRO COMMERCIALE

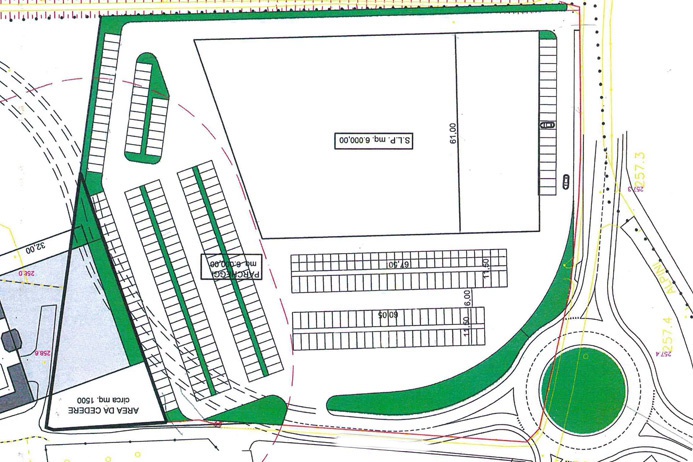
Area edificabile di mq 20.000 a destinazione terziario e commerciale situata in adiacenza al centro commerciale di Mapello in area commerciale densamente sviluppata.

La proprietà si colloca in posizione facilmente individuabile all'interno di polo commerciale e artigianale fortemente sviluppato.

L'area è oggetto di ambito di trasformazione, la superficie edificabile è di mq 6.000 con altezza massima 10 metri di cui mq 600 superficie di vendita.

L'ambito di trasformazione prevede la cessione di circa 4.000 mq di area per sviluppo comunale (aree per ampliamento tangenziale, rotatoria e parcheggio esterno) e la realizzazione di 4.000 mq di parcheggi.

E' possibile eventuale cambio di destinazione in artigianale.

Trattative Riservate

CLASSE ENERGETICA: Immobile non soggetto all'obbligo di certificazione energetica

Vai all'annuncio: https://www.studio-valle.com/it/mapello-3/


STUDIO IMMOBILIARE VALLE
Flaminia S.r.l.
Real estate and investments
24121 Bergamo - Italy
V.le Vitt. Emanuele II n. 65
tel +39 035 231588
WhatsApp: +39 3920190070
www.studio-valle.com
info@studio-valle.com
Facebook: StudioImmobiliareValle
Twitter: ValleRealEstate
Skype: Valle-Real-Estate
RIFERIMENTO ANNUNCIO
MAPELLO20000
DATA ANNUNCIO
22 febbraio 2024
DATA ULTIMO AGGIORNAMENTO
22 febbraio 2024
CONTRATTO
Vendita
TIPOLOGIA
Terreno residenziale
SUPERFICIE
20000 m²
TIPO PROPRIETA'
Standard
ALTRE CARATTERISTICHE'
riscaldamento assente trattativa riservata
Costi
---
Prezzo riservato
Mappa della zona dell'immobile

Calcola il mutuo

Inserisci i dati mutuo

Rata del mutuo
Al mese
Anticipo
Mutuo
Richiedi consulenza gratuita mutuo

Servizio erogato tramite  

Servizi per te
Inserzionista
Logo Studio Immobiliare Valle
Studio Immobiliare Valle

Codice annuncio: 7486
Riferimento immobile: MAPELLO20000

Invia email
ATTENZIONE ALLE TRUFFE
 
NON ANTICIPARE MAI denaro su carte ricaricabili, conti correnti esteri, money transfer o altri sistemi di pagamento

Scopri subito quanto vale la tua casa per l'affitto o per la vendita!

   

Altri annunci simili