ioaffitto.it TROVA casa. VIVI SEMPLICE.
Nuova ricerca
Pubblica annuncio
Annunci sponsorizzati
Agenzie
Valutazione-immobile
Servizi
Luce Gas Fibra
Mutui
Finanziamenti
Ricerca Internazionale
Servizi web
Servizio partecipazione asta
Pubblica annuncio
Accedi
Immobiliare Leonardi
Via Vittorio Corcos
57100 - Thionville
Contatta
Annunci pubblicati dall'agenzia
Immobiliare Leonardi
Ordina per rilevanza
Ordina per rilevanza
Ordina per prezzo crescente
Ordina per prezzo decrescente
Ordina per superficie crescente
Ordina per superficie decrescente
11
Ufficio in affitto in SCALI DOGANA D'ACQUA a Livorno
€ 1.550,00
8
locali
278
mq
UFFICIO AMPIA METRATURA ZONA DOGANA D'ACQUA MQ.270 UTILI. POSSIBILITA' UFFICI DI METRATURE OLTRE I MQ.400 UTILI. Proponiamo ufficio in zona strategica vicino al centro cittadino e alle vie di grande comunicazione, sito al primo piano s.a. di mq 2...
Contatta
Visita
34
Ufficio in affitto in SCALI DOGANA D'ACQUA a Livorno
€ 2.600,00
8
locali
465
mq
UFFICI AMPIE METRATURE ZONA DOGANA D'ACQUA mq 465, mq 270, mq 238 CON POSSIBILITA' DI ESSERE UNITI. Proponiamo ufficio in zona strategica vicino al centro cittadino e alle vie di grande comunicazione, sito al primo piano s.a. di mq 465 con la po...
Contatta
Visita
28
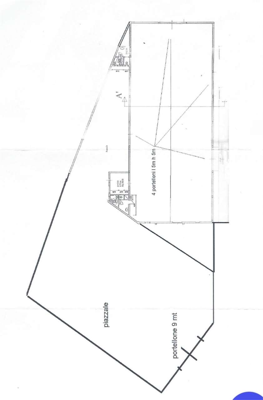
Capannone industriale in affitto in Via del Marzocco a Livorno
€ 4.200,00
1
locali
800
mq
CAPANNONE DI 800MQ + PIAZZALE DI 1200 ZONA CATERATTE. Proponiamo Capannone 800mq circa con piazzale di 1200 sito in zona Cateratte, zona strategica grazie alla vicinanza al centro cittadino, al porto industriale, direttamente collocato sulle princ...
Contatta
Visita
32
Appartamento in vendita in Via Del Riposo a Livorno
€ 195.000,00
4
locali
105
mq
RIBASSATA!!! OTTIMO - QUADRILOCALE CON DUE POSTI AUTO. Proponiamo appartamento in zona San Marco in condominio ottimamente tenuto con giardino condominiale. L'appartamento sito al primo piano con ascensore composto da ingresso con porta blindata, ...
Contatta
Visita
36
Capannone industriale in vendita in Via Umbria a Collesalvetti
€ 250.000,00
4
locali
330
mq
RIBASSATO!!! OTTIMA OCCASIONE! CAPANNONE CON UFFICI CON TERRENO E POSTI AUTO. Proponiamo capannone costruito di recente con 160 mq al piano terra con doppio ingresso, pedonale e carrabile per mezzi pesanti con altro portellone sul retro per acced...
Contatta
Visita
21
Negozio in affitto in Via Mondolfi a Livorno
€ 700,00
3
locali
60
mq
FONDO EX RISTORANTE ATTREZZATO ARDENZA. Proponiamo fondo commerciale di circa 60 mq attualmente predisposto a ristorante completamente arredato con vano ad uso cucina corredato delle attrezzature, sala ristorazione con tavoli e sedie (28 posti a s...
Contatta
Visita
23
Ufficio in affitto in Via Cogorrano a Livorno
€ 2.500,00
7
locali
250
mq
ESCLUSIVO UFFICIO DI 250 MQ CON 7 AMPI VANI - POSSIBILITÀ DI OTTENERE FINO A 10 VANI - PIAZZA GRANDE. Proponiamo ufficio di grandi dimensionisito sito al primo piano con ascensore zona Piazza Grande in palazzo signorile con portierato. Composto d...
Contatta
Visita
21
Capannone industriale in affitto in Via Boccherini a Livorno
€ 2.600,00
1
locali
820
mq
NS. ESCLUSIVA - CAPANNONE DI 800 MQ NUOVO A EURO 3.500 O 600 MQ A EURO 2.600. POSSIBILE TRATTATIVA ANCHE CON SCALETTA INIZIALE. ZONA SALVIANO. Proponiamo primo piano di capannone nuovo interamente finestrato con ingresso indipendente con ascensor...
Contatta
Visita
18
Negozio in vendita in Scali Manzoni a Livorno
€ 350.000,00
8
locali
500
mq
SCALI MANZONI ESCLUSIVO FONDO COMMERCIALE. Proponiamo fondo commerciale anche ad uso ufficio/laboratorio sito in splendido palazzo signorile del 1800 con soffitti con volte a crociera, doppio ingresso, uno da Via Malenchini e l'altro dagli Scali M...
Contatta
Visita
19
Ufficio in affitto in Scali Olandesi a Livorno
€ 800,00
5
locali
110
mq
UFFICIO SCALI OLANDESI AFFITTASI/VENDESI 5 VANI. Proponiamo immobile ad uso ufficio sito al primo piano servito da ascensore in palazzo ben tenuto anni 70, composto da ingresso uso reception, 5 vani di varie dimensioni ad uso ufficio plurifinestra...
Contatta
Visita
<
1
2
3
4
5
>
Email
Password
Ricordami
Registrati adesso
Sei una agenzia?
Password dimenticata?